Гостевой дом "БЕРЕГ". Весьегонск. Рыбинское вдхр.

Тема в разделе "Базы и отели", создана пользователем Макс23, 3 фев 2016.

Статус темы:
Закрыта.
  1. KOLDUN

    KOLDUN Добрый волшебник

    @Капотнинский,
    Чуть меньше суток у нас ушло на поездку:drinks:
    Маладэц тебе брат!!!:D
     
    ЖК Химки, ОКА, BigRIB и 7 другим нравится это.
  2. Капотнинский

    Капотнинский Надо ехать!

    Да ваще!!!!... Красавцы...чо уш там:D:D:D
     
  3. Макс23

    Макс23 Гостевой дом "БЕРЕГ" на Рыбинке.

    Я ж говорю-железные человеки...)))
     
  4. Lennon

    Lennon Рыбак

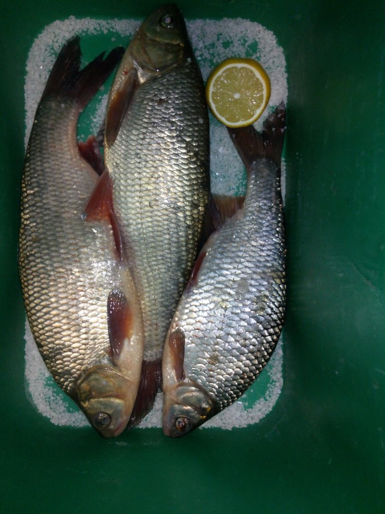
    Рыбу не знаем куда складывать.
     

    Вложения:

    Plumbum Che, ЖК Химки, ОКА и 24 другим нравится это.
  5. KOLDUN

    KOLDUN Добрый волшебник

    Язьки пошли!!!
    А лимон на что взял?:D
     
    ЖК Химки нравится это.
  6. Volga

    Volga Рыбак

    Это секретное оружие, улучшает клев :), а ещё закусь :drinks:, ну и для масштабу :D.
     
    ОКА нравится это.
  7. Илья.Коптево

    Илья.Коптево Рыбак Писатель

    @Lennon,
    Даже язь попался, точнее два яяяяззззяяяя феерично!:ok:
     
    Отец Николай и Макс23 нравится это.
  8. Илья.Коптево

    Илья.Коптево Рыбак Писатель

    @Lennon,
    Ну и что молчим, плотву видим, два язя видим, что дальше? Вы до Матрены дошли? Рыба заклевала после моего отъезда?
     
  9. Lennon

    Lennon Рыбак

    Сегодня сосем, хоть мормышку оторвало. Все хлеб.
     
    ГЗАР, BYKER и SEGA Углич нравится это.
  10. Илья.Коптево

    Илья.Коптево Рыбак Писатель

    А вчера то, кроме двух и одной, сколько поймали?
     
  11. Нарколог

    Нарколог Не просто Нарколог

    Мы таких отпускали.Мелочишка- пескарек
     
    BYKER нравится это.
  12. Макс23

    Макс23 Гостевой дом "БЕРЕГ" на Рыбинке.

    Погоду крутит не по детски... Ветер опять поднялся, давление вниз...
    Но три экипажа двинулись в сторону Рени...
    Ждём вести с полей...
     
    BYKER нравится это.
  13. BYKER

    BYKER Байкер Реально

    @Макс23,
    Домой экипажам надо двигаться.... такие раздачи не могут быть долго , рыбе надо отдохнуть от прессинга ...
     
    жерличник нравится это.
  14. Макс23

    Макс23 Гостевой дом "БЕРЕГ" на Рыбинке.

    Не факт. Особенно на Рене.
     
  15. BYKER

    BYKER Байкер Реально

    @Макс23,
    Факт будет , когда экипажи приедут обратно с Рени...
     
    ОКА и жерличник нравится это.
  16. жерличник

    жерличник Рыбак

    ...к следующему нашему приезду (05.03.:-X<:-(:rofl:)
     
  17. жерличник

    жерличник Рыбак

    ко второму завтраку...
     
  18. SVN

    SVN Рыбак

    Пролетели с Петровичем на Рене про рыбе.
    В четверг и пятницу надо было работать. Потом уже и ехать не хотелось, но позвонил Петрович. Один бы не поехал, а вдвоем можно и проветриться. В субботу в 16 часов стартовали.
    В воскресенье попалось десяток плотвичек, причем штук восемь на стоячку на червя в первой половине дня. К вечеру пошел фронт циклона. Вся подводная жизнь замерла окончательно.
    В понедельник погода отличная, подморозило, но только три штуки вымучил.
    В воскресенье уронил камеру в лунку, достал секунд через десять. Работать отказалась. Без камеры уже и ловить не хочется, будто без удочек на лед пришел. Вечером просушил в разобранном состоянии на печке, и она заработала. В понедельник рыбу рассматривали, а поймать не смогли. В корягах стоит много и крупной. На течении на ровном дне много и крупной - в толще воды, начиная от льда и до полутора метров ото дна. Не смогли ничем эту рыбу соблазнить на поклевку. Только окуньки клевали на игру. В камеру сплошняком плотва, а клюют окуньки, которых и не видно. Значит, издалека подходят.
     
    BigRIB, Plumbum Che, Грин и 16 другим нравится это.
  19. Макс23

    Макс23 Гостевой дом "БЕРЕГ" на Рыбинке.

    *ля... 37, 7°...(((((
    И закинул в голову исчо баночку малинового варенья...
     
  20. БУЙНОВ

    БУЙНОВ Мастер фламастер

    Я тут померил ...,оказалось,что у меня аж 36,6...
    Теперь всегда градусником мерить буду!
    :D
     
    Илья.Коптево нравится это.
  21. Volgarj.Tver

    Volgarj.Tver Рыбак

    @Макс23,
    жди до 38.5
    У жены вчера ни стого ни с сего в один миг кашель,сопли и 38
     
  22. Макс23

    Макс23 Гостевой дом "БЕРЕГ" на Рыбинке.

    @Volgarj.Tver, пару дней назад и у моей тоже самое...(((((
     
  23. Lomov

    Lomov Рыбак

    Это ты плохо лечился в выходные))))) Надо было от меня не отходить)))))
     
  24. Anbur

    Anbur Рыбак

    От тебя не :vodka: не отходить, а прятать огненную уже нужно было! :russian: :D:D:D
     
    Саша С-Посад, ОКА, Lomov и ещё 1-му нравится это.
  25. Lomov

    Lomov Рыбак

    Да ладно, все хороши были:D
     
  26. Макс23

    Макс23 Гостевой дом "БЕРЕГ" на Рыбинке.

    А вот не надо за всех, не надо...)))
     
  27. BYKER

    BYKER Байкер Реально

    @Макс23,
    Экипажи то с чем вернулись с реки ??
     
  28. Дааааа, не стыда не совести. " Наприезжали " там, всю деревню обурили, весь рыб выловили. :cry: Так мы и теряем друзей.<:-( Но будет и на нашей улице праздник.

    А так просто красавцы - просто молодцы. Да и приятно видеть пару - тройку добрых пенсионеров:D;) в добром здравии.:drinks:
     
    Илья.Коптево и BYKER нравится это.
  29. BYKER

    BYKER Байкер Реально

    Димыч Химки и Робочка нравится это.
  30. @BYKER, Серёж, у меня теперь всё в приоритете, вот приготовления тушмана освоил, теперь на рыбные консервы перейду. А ты чё не на Рене, мне сказали что ты там в походе , на недельку....;) Оказывается нет, перед телевизором и компом опять устроился.:drinks:
     
    BYKER нравится это.
  31. @BYKER, С реки вернулись с хорошим настроением, прям как и я всю зиму, записывал уловистые места от Саныча.:crazy:
     
  32. BYKER

    BYKER Байкер Реально

    @полковник Химки,
    ...уже был.ловил, ждем следующего выхода ...зачем в порожняки на реке просиживать...удивился,когда тебя там вместе со всеми не увидел...
     
  33. @BYKER, Работа, товарищ пэнсионер.;):D:drinks:
     
  34. BYKER

    BYKER Байкер Реально

    @полковник Химки,
    Видимо ЖеКа и Димыч забросили работу...один ты ударник Производства!!!:D:D:D:D:D:smoke:
     
    ЖК Химки, ОКА и Димыч Химки нравится это.
  35. Anbur

    Anbur Рыбак

    Директор консервного завода однако! :D:D:D
     
    BYKER нравится это.
  36. [​IMG]



    Очень часто именно то, как представитель сильного пола ведет себя в быту, становится причиной конфликтов и даже расставания. На самом деле, существует несколько конкретных типов мужчин касательно отношения к домашнему хозяйству. Может быть, вам будет проще, если вы узнаете, к какому типу относится ваш партнер.

    «Беспомощный»

    Наиболее часто встречающийся вариант. Как правило, до вас все хозяйственные проблемы в его жизни решала мама. Поэтому самое большее, на что его хватает – это поставить на плиту чайник. На работе он предпочитает ходить в кафе или обедать принесенными из дома бутербродами. Оставшись без женской руки, увлекается фастфудом, потому что это быстро и дешево.
    Если вы решились жить вместе с таким мужчиной, будьте готовы к тому, что он постоянно будет спрашивать вас о том, где лежат его брюки, носки и рубашки, а, оказавшись в магазине без вас, станет каждые пять минут звонить и спрашивать, купить ему то или это…

    Уехав в командировку, по возвращении не удивляйтесь, обнаружив в ванной гору грязного белья (и это при наличии современной стиральной машины!), а в холодильнике – испорченные продукты. Не говоря уж о пыли и немытых полах… Ваш партнер – большой ребенок, и таких опций, как стирать, убирать и готовить, у него просто нет. Прибивать гвозди он тоже не приспособлен, это вам придется делать самой или нанимать специально обученных людей.

    Плюсы жизни с таким человеком в том, что у него часто бывает покладистый характер. То есть он не станет спорить с вами в случае чего и раздувать конфликтную ситуацию, а просто исполнит ваши указания. Многие беспомощные в быту мужчины также бывают хорошими специалистами в своей профессии и неплохо зарабатывают. А это компенсирует все неудобства.

    «Хозяйственный»

    О таких говорят: «У него золотые руки». Действительно, нет вещи, которую он не мог бы сделать. Он своими руками умеет сверлить, варить металл, класть полы, чинить и собирать мебель и проч. Может без посторонней помощи даже построить дом. Как правило, водит машину, разбирается в технике… Любые домашние дела, включая стирку, уборку и готовку, для него не проблема.

    Казалось бы, это мечта для любой женщины. Однако есть тут и свои подводные камни. Во-первых, такой мужчина очень требователен к женщинам. Его раздражает, если представительница прекрасного пола чего-то не умеет, что, по его мнению, должна уметь. Во-вторых, он настолько самодостаточен, что не понимает, зачем ему в доме женщина. Нередко подобные представители сильного пола обходятся случайными связями и романами. При этом, как правило, они предпочитают встречаться на территории женщины и попросту не желают пускать ее в свой дом, чтобы она там не устроила беспорядок. До женитьбы, кстати, может так и не дойти. «Хозяйственные» мужчины часто остаются одинокими холостяками.

    «Повар»

    Его несомненным достоинством является то, что он любит и умеет готовить. Он может мастерить такие блюда, которые вам и не снились, и всячески поражать вас своими кулинарными фантазиями.

    Поначалу вы можете рассматривать такого мужчину как подарок судьбы. Но при ближайшем рассмотрении окажется, что не все так уж радужно… Например, кроме умения хорошо готовить, других хозяйственных достоинств у него нет. Голодным в одиночестве он не останется, но ни вбивать пресловутые гвозди, ни заниматься стиркой - даже собственной одежды - ни за что не станет. Во всем остальном он ведет себя как «беспомощный».

    Кстати, мужчина-кулинар может постоянно критиковать вас и высмеивать за то, что вы готовите хуже его. Характер у него нередко не сахар. Мужчины-«повара» частенько попадаются среди творческих людей и интеллектуалов, у которых руки «растут не из того места». Готовка для них отдушина, вид креатива и способ компенсации за отсутствие других бытовых умений.

    «Разделитель»

    Он твердо уверен в том, что все обязанности по дому делятся на мужские и женские. Поэтому он охотно будет двигать мебель, сколачивать доски или сверлить стену, чтобы повесить полку или картину, но посчитает зазорным для себя хоть разок приготовить ужин, вымыть посуду или прибраться в квартире. Попросив его сходить за продуктами, посидеть с ребенком или забрать малыша из детского садика, можно даже нарваться на скандал. Именно мужчины этой категории чаще всего бросают женщину за низкий уровень «обслуживания», к примеру, уходят к той, что лучше готовит…

    Живя с таким человеком, вы должны смириться с тем, что половину всей работы по дому вам придется делать самой. Правда, никаких традиционно мужских дел вам выполнять при этом не придется, что все-таки является плюсом.

    «Зарплатоноситель»

    Это помесь «беспомощного» с «разделителем». Представители данной категории обычно хорошо зарабатывают. Все их силы при этом поглощают работа или бизнес, а что касается бытовых вопросов, то они принципиально не обращают на них внимания. На женские претензии такой мужчина отвечает: «Я зарабатываю, а твое дело – вести хозяйство». Поэтому супруге такого мужчины придется либо абсолютно все делать самостоятельно, либо нанимать работников.

    «Помощник»

    Пожалуй, наиболее приемлемый вариант для большинства женщин. Он не фанат хозяйства, но не станет отказываться от домашних дел, если их необходимо выполнить. Не считает зазорным для себя готовить яичницу или мыть посуду, если жена задержалась с работы. Может забросить вещи в стиральную машину, пройтись по квартире с пылесосом, вынести мусор или погулять с собакой. Не отказывается отправляться с женой за покупками или вкалывать на даче, даже если это ему не очень по душе. У него могут быть далеко не золотые руки, что-то может получаться, а что-то нет. Но, по крайней мере, он настроен на партнерские отношения, а это уже само по себе немало.
     
  37. @Anbur, Привет, давайте всё таки составим свой образ сильного пола.;):drinks:
     
  38. Макс23

    Макс23 Гостевой дом "БЕРЕГ" на Рыбинке.

    @полковник Химки, обычно такие статейки в женских глянцах печатают... Признавайся, у Иваньковой журнальчик отжал?..:D:D:D
     
  39. @Макс23, Отжимают бабосы у бизнесменов ( 90 тые ;) ) либо ржавые гвозди, неровно прибитые с загибом.:punish: Вот заметь Макс, ни кто не сказал про глянцевые женские журналы, так значит - почитываем ?:crazy::crazy::crazy: Вот для кого то Иванькова, а для кого то - Марина Викторовна. :hummer: Ты с ней поаккуратнее.:D Привет Макс, говорить стал.:russian:
     
Статус темы:
Закрыта.

Поделиться этой страницей

11 ноя 2025 в 22:29 70841
11 ноя 2025 в 20:10 12498
11 ноя 2025 в 19:36 4011
Наверх