Угличское водохранилище

Тема в разделе "Места и водоемы", создана пользователем igoryaxa, 2 июл 2013.

  1. Дюсик

    Дюсик Аквариумист

    @lavr-s,
    Сейчас рассмотрел пристально фото. Что-то в моей грабке плотва мелковата кажется... И замерз как сволочь!
     
    ОКА нравится это.
  2. SEGA Углич

    SEGA Углич ХОДОК-АДЕПТ БЛЕСНЫ Писатель

    я ж тебе говорил...крупная в речки пошла уже,парочка по полкило попалась,да и молока сегодня уже текла из самца,а в Волге она будет ловится уже после икромёта,но уже с кормушкой и на корочку:)!
    Главное,что она уже есть у нас :good:,половим ещё,я уверен теперь!
    Одну шандорину опять сегодня открыли8-),вода свверху прёт,когда обратно ехали работал сброс верхом!:)
     
    Дюсик нравится это.
  3. Дюсик

    Дюсик Аквариумист

    @SEGA Углич,
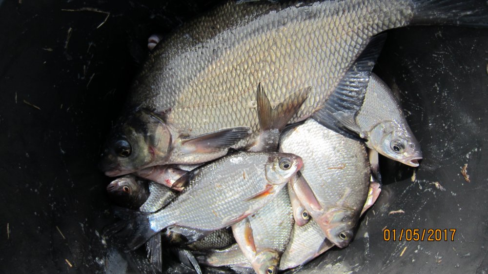
    Ну вот и отличненько! Значит еще через недльку половим!
     
  4. SEGA Углич

    SEGA Углич ХОДОК-АДЕПТ БЛЕСНЫ Писатель

    да плотва весь май клюёт,как обычно...
     
  5. сундук

    сундук Начинающий рыбак Писатель

    @Дюсик,
    пестес какой-то с этой плотвой ити её мать...погода была жесть-клевала-отдай фидер,как наладилась,так...короче вы с Лавром уехали,я ещё полчасика и за вами...заехал к Сеге,тот шепнул где вчера и дохуа...приехал,поклёвки на грани видимости,не подсёк ни разу,плюнул и в запретку на полив с камушками-то-же самое-за пару часов 3 плотвины и подлещик,пяток ершей и сход...на утро рву к себе,там "философ"-прописался походу,покидал-шандорина молотит,низом пошла трава,теплоходы и плядовозы достали(вода под урез-сидел на невысоком мыске,каждая волна грозила мокрым задом)...решил опять на речку или в запретку,лениво было ехать в объезд...ха-я-же на полуспущенных,ща стернёй проскочу...проскочил...по раму...пёхом домой...америкоса Хай который Джек к соседу в пузотёрку,пару лопат,сэнд трэки,мажорную подставку под мерикоса,приблуду от умельца из Костромы,чтобы за колесо джечится,кувалду,топор...пара часов работы и я на асфальте...повоюем ещё...кстати к полянке уже пузотёрки идут,тока вразрез колее и вокруг...сама полянка занята-походу браки с сетями,вода под урез,народу мало,рып есть но не ест...короче я 4-го тудой,5-9 там,кто желает-вэлкам,увидимся.Да-с утра 3 или 4 шандорины молотили(в 4-30 проезжал)
    Всем НиХниЧ,до встречи на водоёмах!
     
    ОКА, SEGA Углич, Дюсик и ещё 1-му нравится это.
  6. Дюсик

    Дюсик Аквариумист

    Ты мне потом шепни тоже. Я 9-го туда в гордом одиночестве. Жена только 10-го подъедет. Ей парад эфирить (вот уж счастья подвалили!!!)>8D. Поэтому как раз все уедут и тут я такой, медленно, медленно спущусь с горы, и всё стадо...:O
     
    ОКА нравится это.
  7. Дюсик

    Дюсик Аквариумист

    @SEGA Углич,
    Сергей, помнишь наш разговор про антикварные снасти? А спиннинги тоже?
     
  8. сундук

    сундук Начинающий рыбак Писатель

    @Дюсик,
    Так вчера и завтра-же...в пт же ты тоже ведерко...я на речку не поеду до льда имхо все есть ближе,может тудой,где-ты в баню ходишь,есиь там очень интересные места...тока я хайджека сразу в багажнек брошу
     
    Дюсик нравится это.
  9. Дюсик

    Дюсик Аквариумист

    @сундук,
    Ну это ты со своего берега. Мне нет смысла объезжать. Вчера сосед с нашего берега, аккурат напротив бани десяток без напрягов на спин типа "философского" поймал на червя. А на речку надо будет заехать. Я проконтролирую. Не может не быть там рыбы!
     
  10. Дюсик

    Дюсик Аквариумист

  11. сундук

    сундук Начинающий рыбак Писатель

    Уже нет...руками поводил...
     
    SEGA Углич нравится это.
  12. SEGA Углич

    SEGA Углич ХОДОК-АДЕПТ БЛЕСНЫ Писатель

    тоже...:)
     
    Дюсик нравится это.
  13. SEGA Углич

    SEGA Углич ХОДОК-АДЕПТ БЛЕСНЫ Писатель

    правильно...вся рыба там!:D я контролирую...
     
  14. Дюсик

    Дюсик Аквариумист

  15. сундук

    сундук Начинающий рыбак Писатель

    @SEGA Углич,
    Серег,там с декабря хрень какая-то с рыбой-сам видел прикормка почти не рулит(рулила)имхо или очень крупный хищник шугает,или еще чего...да,в известном месте или ракухи стало больше,или камни обросли-обнажились...фидерил там 2 предыдущих года-без потерь,тут 2 обреза плетки за час рыбалки...
     
  16. SEGA Углич

    SEGA Углич ХОДОК-АДЕПТ БЛЕСНЫ Писатель

    Добрый день!
    Сегодня с утра отлично клевала,правда плотвы маловато,зато какая густерааа:good: ну и подлещик,куда без него?!:-\
    Лещ один попался приличный,поводил в удовольствие с поводком 0,12мм.,потом поменял на 0,14 для страховки,да и путается он поменьше!:)
    {$title} {$title}
    были втроём,все поймали кил по 7-8,ловили чётко до 10-ти утра,потом не клюёт совсем!:-\
    {$title} {$title} {$title} рыба живая с трудом поймал в объектив,а руками брать не хочется,слизи очень много,не отмоешься!:D

    Всем удачи и не болеть,вечером же-на РЫБАЛКУУУ!!!:good::good::good:
     
  17. SEGA Углич

    SEGA Углич ХОДОК-АДЕПТ БЛЕСНЫ Писатель

    @сундук,
    охеренно там :good:, давно так не ловил,в тишине и покое,рыбы много-народу нет:good:,но не на фидер,вообще не понимаю как на него ловить:-\,поплавок еле притопит на секунду,не подсёк-нет рыбы и одного опарыша нема!:D А рыбка грамм по 300-та вся так и клюёт,вот мелочь топит неумолимо!:D
     
    BigRIB, Дюсик и Илья.Коптево нравится это.
  18. SEGA Углич

    SEGA Углич ХОДОК-АДЕПТ БЛЕСНЫ Писатель

    @Дюсик,
    да некогда наблюдать,всё там есть,ловить непросто,но это и хорошо,"туристы" с наскоку не попадАют:-\...ребята вчера обловились вечером,а утром не брала,а я из-за футбола не попал<:-(,щас подремлю и на вечерний жор,пока рыба есть-надо ловить,завтра же-на работу!<:-(
    зато не надо в воде"по яйцы" стоять,сухо и комфортно!:good:
     
    Дюсик нравится это.
  19. сундук

    сундук Начинающий рыбак Писатель

    @SEGA Углич,
    Серег,да юх с ней с рыбой,я за поклевками езжу...так-то подловил,и повесил,а ловить неулюющую бель не люблю...тож 0,12 поводок,14 гамакацу,мотыль с опариком...и притроги...праульный корм,с мотылем и опариком...10 лет назад свинчатка,8-й крюк,0,24 поводок и усе-червя в воду...садки трещали...поэтому не берет и не нать
     
  20. Дюсик

    Дюсик Аквариумист

    @SEGA Углич,
    У тебя глубина под поплавком какая была? Опарыш чистый белый или с подсадкой мотыля, червя?
     
  21. SEGA Углич

    SEGA Углич ХОДОК-АДЕПТ БЛЕСНЫ Писатель

    @сундук,
    ты опять не понял...:-\,как ловить на фидер в 12-15 метрах от берега?:-\
    я не знаю например,вся рыба у прошлогоднего тростника трётся(верхушки которого ледоходом срезало,а остья остались:good:),дальше нету!8-)
    И я за поклёвками,но рядом с фидерами люди сидят и тупо смотрят на кончики :),нахера такая ловля?
    Я хочу рыбку поводить на маховой а не тупо волокать на 0,3мм.,вышел я уже из этого возраста давно:good:,и очень рад,что не получается на "дубовые" снасти ловить-меньше желающих,:good: а больше думающих рыболовов!:good:
     
    Эстонец нравится это.
  22. SEGA Углич

    SEGA Углич ХОДОК-АДЕПТ БЛЕСНЫ Писатель

    а как по твоему,это-неклюющюю? :) она не клюёт на"дубьё" и это хорошо...:good:
    утром с каждого заброса-рыбина,не успевали в три удочки таскать полчаса,давно такого не помню!
    да обычный опарыш,нет у нас больше ничего...сегодня если успею нарезать попробую на"квадратики"!;) да обычная глубина 3-3,5метра...там глубже и нет...
     
    Дюсик нравится это.
  23. сундук

    сундук Начинающий рыбак Писатель

    @SEGA Углич,
    Серег,на мах не ловлю-не мое,не млею,8-ку в боковой ветер раз поюзал и подарил еще в 90-е...у каждого свой путь,а када торкает на фидер,я считаю,что это Не клюет...
     
  24. T.M.

    T.M. Рыбак

    @сундук,

    У тебя там по соседству в пруду карась от души..
     
  25. сундук

    сундук Начинающий рыбак Писатель

    @T.M.,
    Стесняюсь спросить в каком пруду?
    И где по соседству?
     
  26. Дюсик

    Дюсик Аквариумист

    @T.M.,
    Миша, ты может быть со мной перепутал. У меня у участка прудик с карасиками... Сам запускал. А за околицей два карьера.:D
     
  27. жерличник

    жерличник Рыбак

    @SEGA Углич,
    ...браво Серег!Отличная плотва,Борок отдыхает,но отдыхает для избранных<:-(...
     
    SEGA Углич нравится это.
  28. T.M.

    T.M. Рыбак

  29. SEGA Углич

    SEGA Углич ХОДОК-АДЕПТ БЛЕСНЫ Писатель

    Мы о разных вещах с тобой говорим...я же не спорю,каждому-своё...:)
    но моё мнение такое...
    ... она поэтому на фидер и не клюёт,что он ей щас нахрен не нужен в реке,куда она на нерест идёт...
    ...ей проводка нужна,я давно это понял,дуром давно не ловится :),даже весной...и когда рыбы-полная река,почему бы её не ловить на другие снасти:),а будет это мах или болонка,да просто удочка с поплавком,какая разница уже?:-\
    а меня вот не торкает созерцание неподвижного фидерного кончика:),и что теперь,ждать,когда заклюёт на него,да нафик,только время терять...а если рядом ловят успешно на другую снасть,зачем чувствовать себя неуютно(типа,рыба есть,а я ловить не умею:D) и буду упираться именно в фидер:-\,это-доморощенно и непрофессионально на мой вкус!
    Рыбак просто обязан доказать прежде всего САМОМУ себе,что он может найти выход из любой сложной ситуации на рыбалке,от этого удовольствие от неё только больше получаешь!
    Я вот не разбирал фидер в прошлом сезоне ни разу и ничего не потерял,отлично ловил на удочки поплавочные,и не пожалел нисколько!
    Апофеоз ЛЮБОЙ рыбалки-поклёвка-подсечка и поимка рыбы:good: и это правильно,любоваться природой и окресностями можно не разматывая снастей!:)
    У меня такое вИдение"процесса"...:) очень много слов написал...<:-(,а по-другому и не довести свою мысль...:)
     
    BigRIB, Anbur, BYKER и 3 другим нравится это.
  30. сундук

    сундук Начинающий рыбак Писатель

    Да,аж 3 пруда,где точно есть закилошники...тока Угличское причем8-)
     
  31. сундук

    сундук Начинающий рыбак Писатель

    @SEGA Углич,
    Серег,я месяц на мастеркласс напрашиваюсь...болонку и матчевку откопал...осталось монку освежить,ну и все остальное...
     
  32. Дюсик

    Дюсик Аквариумист

    @сундук,
    А что мешает провести рандеву с элементами рыбалки в проводку?:D
     
  33. Дроныч

    Дроныч А потом чайку попью... Писатель

    А мы вот такого "красавца" видели, жаль зверюгу, видать по весне провалился, а выплыть не смог...
    ЗЫ...рОги отпилить не вышло, воняет дюже...:buee:
    {$title}
     
  34. сундук

    сундук Начинающий рыбак Писатель

    @Дюсик,
    В Волге имхо безрезультатно будет,в речке можно,и то с поправкой на ветер
     
  35. Дюсик

    Дюсик Аквариумист

    @сундук,
    Я это и имел в виду. Только, там, где мы с тобой ловили в реке, по-моему с поплавком будет не комфортно. Глубина сразу под берегом. А вот там, где было у меня партсобрание, наверное лучше.
     
  36. Дюсик

    Дюсик Аквариумист

    @Дроныч,
    Ничего себе!!! Это марал? Благородный олень.
     
  37. боб

    боб Рыбак

    @Дроныч,
    маралл,они кстати наших зим особо не выносят,требуется подкормка,на дв хоть зимы и тож не сладки,но корма им больше естественного,надо было заткнуть нос,и отрубить бошку,потом бы и ..доделал..топор то на аве -правильный:D
     
  38. сундук

    сундук Начинающий рыбак Писатель

    @Дюсик,
    За партсобрание не скажу,а где комфортно на удочку по обоим берегам знаю...
     
  39. Дроныч

    Дроныч А потом чайку попью... Писатель

    @Дюсик, @боб,
    Я в их породах не копенгаген нифига:-\, вообще думали что лось8-)<:-(, только удивились, что маленький и необычный какой-то..<:-(8-) Во лашары та...:D Про оленя даже не подумали, да и вонял он так, что жуть, да и вообще находица рядом как-то совсем не комильфо было, поэтому мы по быстрому предпочли свалить ...<:-(
    Топора не было, на фишинге храница...:D, с собой только нож, лопата, да мд...:-\
     
  40. Дюсик

    Дюсик Аквариумист

    @Дроныч,
    МД? Чего хорошего выпало?:)
     

Поделиться этой страницей

21 май 2026 в 17:46 19035
21 май 2026 в 15:31 72420
21 май 2026 в 12:25 489
21 май 2026 в 01:21 13322
Наверх